Trứng gia cầm dịp Tết: Nhu cầu tăng, giá tại trại...
Cận Tết, trứng gia cầm tiêu thụ mạnh nhưng giá tại trại lại giảm sâu. Nghịch lý thị trường khiến nhiều hộ chăn nuôi thấp thỏm lo mùa Tết kém vui.
Xem thêmKiểm lâm Hải Phòng chung tay bảo vệ đất ngập nước
Chi cục Kiểm lâm Hải Phòng (Sở Nông nghiệp và Môi trường Hải Phòng) triển khai đồng bộ các giải pháp tuyên truyền, quản lý và bảo tồn hệ sinh thái đất...
Xem thêmTrồng lúa thành công ở Cuba, doanh nghiệp Việt Nam còn...
Trong chuyến thăm Cuba từ 1-3/12/2025, Phó Thủ tướng Hồ Quốc Dũng và lãnh đạo Cuba thống nhất nhiều biện pháp mở rộng hợp tác kinh tế, thương mại, đầu...
Xem thêmVĩnh Long mở rộng thêm 6.000ha vườn dừa hữu cơ
Theo kế hoạch, năm 2026, Vĩnh Long sẽ phát triển thêm 6.000ha dừa hữu cơ, nâng tổng diện tích lên 36.700ha.
Xem thêmGiá heo hơi hôm nay 9/2/2026: Đà giảm vẫn diễn ra
Giá heo hơi hôm nay 9/2/2026 giảm thêm 1.000 đồng, giao dịch về quanh ngưỡng 72.000 - 76.000 đồng/kg. Lào Cai đẩy mạnh chăn nuôi an toàn sinh học, đón đầu thị...
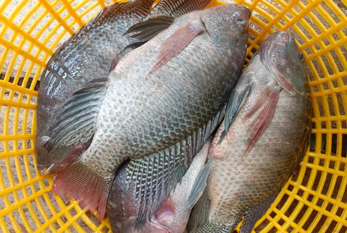
Xem thêmMỹ chiếm hơn một nửa kim ngạch xuất khẩu cá rô phi
Xuất khẩu cá rô phi sang Mỹ tăng trưởng rất ấn tượng trong năm 2025, đưa Mỹ trở thành thị trường lớn nhất của cá rô phi Việt Nam.
Xem thêm





